3978:新築戸建 リーブルガーデン石岡市府中第1
| 価格 | 2,490万円 |
|---|---|
| 所在地 | 石岡市府中5丁目 |
| 最寄駅 | JR常磐線 石岡駅まで 徒歩15分 1200m |
| 間取 | 4LDK |
| 土地面積 | 213.83m²(64.68坪) |
| 建物面積 | 115.1m²(34.81坪) |
| 私道面積 | |
| 築年月 | 2026/02 |
| 学区 | 小学校区:府中小学校 450m 中学校区:府中中学校 650m |
| 建物構造 | 木造 |
|---|---|
| 階建 | 地上2階建 |
| 建ぺい率 | 60% |
| 容積率 | 160% |
| 地目 | 宅地 |
| 用途地域 | 第一種住居地域 |
| 土地権利 | 所有権 |
| 取引態様 | 一般媒介 |
| 引渡時期 | 相談 |
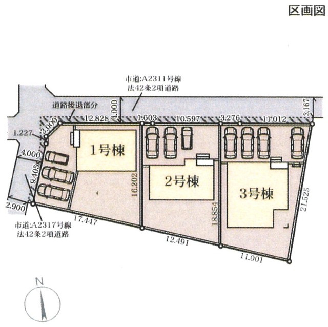
| セットバック | 有 面積10.22m²(3.1坪) |
|---|---|
| 接道 | 北 3.1m(幅員) 公道 12.2m(接面) |
| 諸費用 | |
| 他法条例 | |
| 建築確認番号 | 第25UDI1W建09162号(R7/11/11) |
| 取引条件有効期限 | 令和08年2月24日 |
特色
【2号棟】駐車場3台/公営水道/公共本下水/PG(業者指定)/電気/フラット35SタイプA/地盤保証20年間/設計・建設性能評価取得/長期優良住宅認定物件/玄関収納/床下収納/浄水器付き対面キッチン/シャンプードレッサー/洗浄便座/浴室乾燥機/全窓ペアガラス/基本照明(玄関外・ホール、キッチン、浴室)/人感センサー/TVモニタ付インターホン/24時間換気※フラット35適合証明費別途要
コメント
◆リーブルガーデン府中第1◆府中小まで徒歩6分/府中中まで徒歩9分の立地、コンビニやスーパーも徒歩圏で暮らし安心の住環境♪
周辺地図
位置情報に関するご注意:現在位置情報は精査中の為、正確ではない場合があります。あくまで参考程度の情報となります。















